Réf : 233
Prix en baisse

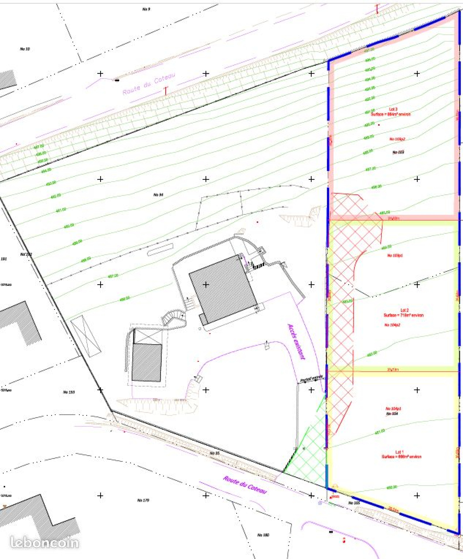
Marignier (74970) Terrain entièrement VIABILISÉ - 864 m²

1 Pièce(s)

Les infos Essentielles

Caractéristiques Valeurs
Code postal 74970
Surface habitable (m²) 864 m²
surface terrain 864 m²
Nombre de pièces 1
Caractéristiques Valeurs
Terrain constructible OUI
Surface constructible 864
Exposition Sud-Ouest
Terrain arboré NON
Caractéristiques Valeurs
Terrain Viabilisé OUI
Terrain Cloturé OUI
Terrain divisible NON
Tout à l'égout OUI
Caractéristiques Valeurs
Raccordement eau OUI
Raccordement gaz OUI
Raccordement électricité OUI
Raccordement téléphone OUI
Caractéristiques Valeurs
Copropriété NON

Découvrez chez Gravity Immobilier :

À la recherche d’un terrain idéal pour concrétiser votre projet immobilier ?

Ne cherchez plus ! Nous vous proposons cette parcelle de 864 m², située dans un secteur recherché. Offrant un cadre paisible et un environnement privilégié, ce terrain représente une belle opportunité pour donner vie à votre projet, qu'il s'agisse d'une maison individuelle ou d'un petit projet immobilier.

Les atouts du terrain :

  • Terrain constructible en zone UE – Parfait pour une habitation ou un projet sur mesure.

  • Entièrement viabilisé – Eau, électricité et assainissement collectif sont déjà en place.

  • Terrain borné – Délimité avec précision pour une meilleure visibilité de votre projet.

  • Environnement résidentiel – Un cadre agréable et paisible pour votre futur chez-vous.

  • Proximité des commodités – Commerces, écoles et services accessibles en quelques minutes à pied.

  • Vue imprenable sur les montagnes Profitez d'une magnifique vue sur les montagnes qui domine les environs de Marignier.


Une opportunité à ne pas manquer !

N’hésitez pas à nous contacter pour plus d’informations ou pour organiser une visite. Nous serons ravis de vous accompagner dans votre projet.

Mallaury DI REZZE – 06.69.19.84.26 – contact@gravityimmo.fr

"Honoraires d’agence à la charge du vendeur."

Bien soumis au statut du lotissement composé de 3 lots.

Les infos Financières

Prix de vente 215 000 €
Les honoraires d'agence seront intégralement à la charge du vendeur  
Intéressé(e) par Ce bien ?

* Champ obligatoire

Les informations recueillies sur ce formulaire sont enregistrées dans un fichier informatisé par La Boite Immo agissant comme Sous-traitant du traitement pour la gestion de la clientèle/prospects de l'Agence / du Réseau qui reste Responsable du Traitement de vos Données personnelles. La base légale du traitement repose sur l'intérêt légitime de l'Agence / du Réseau. Elles sont conservées jusqu'à demande de suppression et sont destinées à l'Agence / au Réseau. Conformément à la loi « informatique et libertés », vous disposez des droits d’accès, de rectification, d’effacement, d’opposition, de limitation et de portabilité de vos données. Vous pouvez retirer votre consentement à tout moment en contactant directement l’Agence / Le Réseau. Consultez le site https://cnil.fr/fr pour plus d’informations sur vos droits. Si vous estimez, après avoir contacté l'Agence / le Réseau, que vos droits « Informatique et Libertés » ne sont pas respectés, vous pouvez adresser une réclamation à la CNIL. Nous vous informons de l’existence de la liste d'opposition au démarchage téléphonique « Bloctel », sur laquelle vous pouvez vous inscrire ici : https://www.bloctel.gouv.fr Dans le cadre de la protection des Données personnelles, nous vous invitons à ne pas inscrire de Données sensibles dans le champ de saisie libre.
Ce site est protégé par reCAPTCHA, les Politiques de Confidentialité et les Conditions d'Utilisation de Google s'appliquent.
contacter l'agence
Ces biens peuvent aussi vous intéresser
Prix en baisse
Marignier (74970)

Terrain entièrement VIABILISÉ - 666 m²

Prix en baisse
Marignier (74970)

Terrain entièrement VIABILISÉ - 718 m²

Nous suivre sur